Zoek binnen het forum
Vraag: kadastrale grens klopt niet .
Naam: R van Leeuwen (datum: 16-05-2011 13:25)
Beste bouwhelp ,
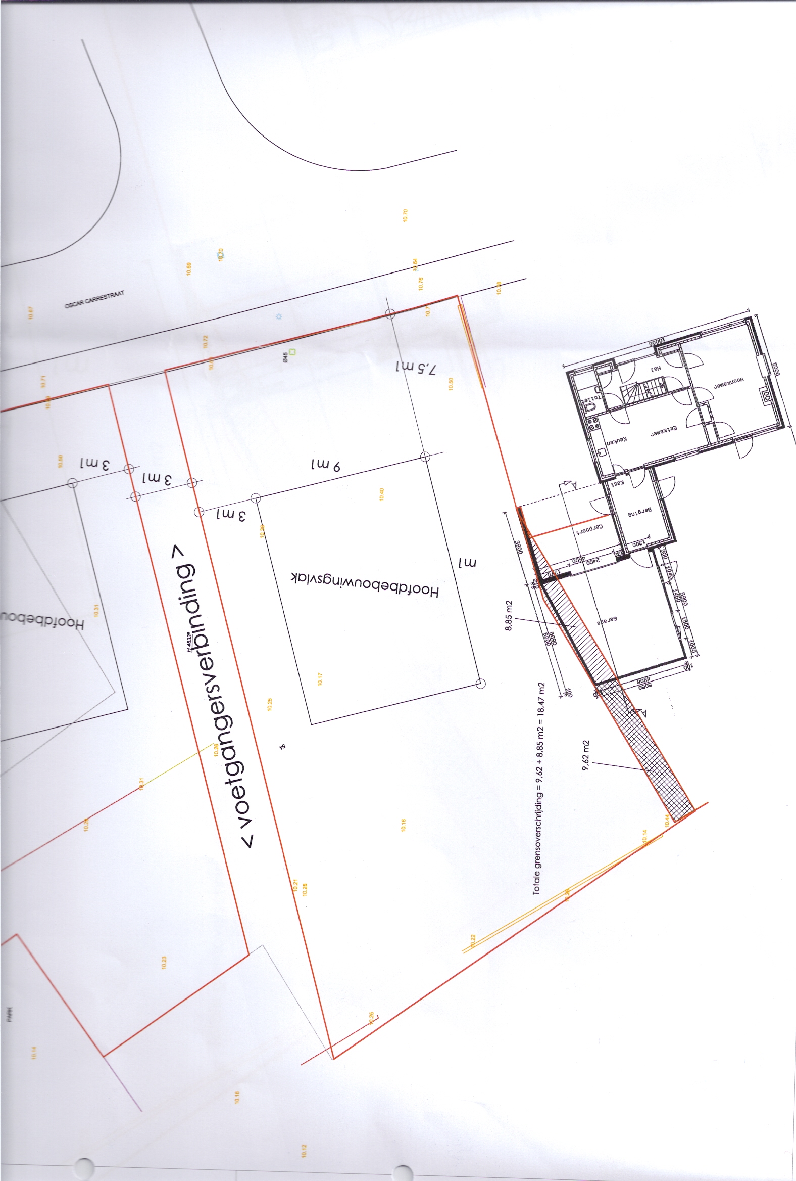
In 2007 heb een een ex tuinderswoning gekocht naast mijn woning ligt nog een perceel dat het bedrijfsgedeelte was dat bij de woning hoorde.
Het huis met garage is gebouwd in 1965 en het terein is gesplitst in 1998.
Nu is het volgende aan de hand ,het perceel naast mij is verkocht en de nieuwe eigenaar heeft een kadastrale meeting laten uitvoeren en daaruit blijkt dat de grens door mijn garage loopt nu wil de nieuwe eigenaar dat we gaan betalen voor het stuk grond wat eigenlijk volgens het kadaster van hem is .
Wat zijn mijn rechten en wat kan ik hier tegen?
Ik hoop snel iets van u te vernemen .
Vr gr R van Leeuwen
Bijlage: scannen0002.jpg Reageer
Naam: R van Leeuwen (datum: 16-05-2011 13:25)
Beste bouwhelp ,
In 2007 heb een een ex tuinderswoning gekocht naast mijn woning ligt nog een perceel dat het bedrijfsgedeelte was dat bij de woning hoorde.
Het huis met garage is gebouwd in 1965 en het terein is gesplitst in 1998.
Nu is het volgende aan de hand ,het perceel naast mij is verkocht en de nieuwe eigenaar heeft een kadastrale meeting laten uitvoeren en daaruit blijkt dat de grens door mijn garage loopt nu wil de nieuwe eigenaar dat we gaan betalen voor het stuk grond wat eigenlijk volgens het kadaster van hem is .
Wat zijn mijn rechten en wat kan ik hier tegen?
Ik hoop snel iets van u te vernemen .
Vr gr R van Leeuwen
Bijlage: scannen0002.jpg Reageer
Re: kadastrale grens klopt niet .
Naam: cees (datum: 16-05-2011 13:49)
De splitsing van het erf in 1998 is waarschijnlijk vastgelegd bij de notaris. Als het goed is, zit bij deze splitsing ook een tekening. Kijk eens hoe het op deze tekening is aangegeven.
Naam: cees (datum: 16-05-2011 13:49)
De splitsing van het erf in 1998 is waarschijnlijk vastgelegd bij de notaris. Als het goed is, zit bij deze splitsing ook een tekening. Kijk eens hoe het op deze tekening is aangegeven.
Re: kadastrale grens klopt niet .
Naam: R (datum: 16-05-2011 14:53)
Het orginele veld werk is nagemeten en die gegevens kloppen...
Naam: R (datum: 16-05-2011 14:53)
Het orginele veld werk is nagemeten en die gegevens kloppen...
Re: kadastrale grens klopt niet .
Naam: pino (datum: 16-05-2011 15:32)
U kunt de persoon die u e.a heeft verkocht hier nog op aanspreken
Naam: pino (datum: 16-05-2011 15:32)
U kunt de persoon die u e.a heeft verkocht hier nog op aanspreken
Re: kadastrale grens klopt niet .
Naam: R (datum: 16-05-2011 17:19)
De verkopende partij is met het geld dat hij beurde van het huis naar Tjechie vertrokken om er een camping te beginnen.
Verkopende makelaar heeft 2 jaar geleden een doorstart gemaakt en geeft ook niet thuis.
Naam: R (datum: 16-05-2011 17:19)
De verkopende partij is met het geld dat hij beurde van het huis naar Tjechie vertrokken om er een camping te beginnen.
Verkopende makelaar heeft 2 jaar geleden een doorstart gemaakt en geeft ook niet thuis.
Re: kadastrale grens klopt niet .
Naam: Jeroen (datum: 16-05-2011 23:53)
Vreemd.
Inmeting door het kadaster vindt plaats op aanwijzing van de betrokken eigenaren.
Naam: Jeroen (datum: 16-05-2011 23:53)
Vreemd.
Inmeting door het kadaster vindt plaats op aanwijzing van de betrokken eigenaren.
Re: kadastrale grens klopt niet .
Naam: R (datum: 17-05-2011 07:36)
Dan trk je toch geen lijn door je eigen garage??
Naam: R (datum: 17-05-2011 07:36)
Dan trk je toch geen lijn door je eigen garage??
Re: kadastrale grens klopt niet .
Naam: pino (datum: 17-05-2011 08:42)
Had u zelf een makelaar?
Deze heeft ook een onderzoeks plicht
U buurman staat uiteraadt in zijn recht als de meting klopt
mogelijk is kopen voor u wel de beste en uiteindelijk ook de goedkoopste oplossing.
Staat de garage ook op het oorsprongkelijke veldwerk ?
Want het is uiteraadt adsurt de grens er dan doorheen te trekken zonder gelijktijdig een erfdienstbaarheid vast te stellen bij een splitsing.
Reageer
Naam: pino (datum: 17-05-2011 08:42)
Had u zelf een makelaar?
Deze heeft ook een onderzoeks plicht
U buurman staat uiteraadt in zijn recht als de meting klopt
mogelijk is kopen voor u wel de beste en uiteindelijk ook de goedkoopste oplossing.
Staat de garage ook op het oorsprongkelijke veldwerk ?
Want het is uiteraadt adsurt de grens er dan doorheen te trekken zonder gelijktijdig een erfdienstbaarheid vast te stellen bij een splitsing.




![[ S&W Consultancy ]](topics//logo.gif)
![[ Emma Interieuradvies]](topics/index/emma.png)